蚕の卵がまたふ化しましたよ!!
4月にふ化をした幼虫達が命を繋いでくれました!(5月のブログでお伝えした幼虫です)
6月10日ころ まゆになっています

6月24日ころ 成虫になりました

交尾をしています

6月29日 産卵しました!!

6月30日ころ 卵の色が変わってきましたよ

卵に黒い点々模様が見えます

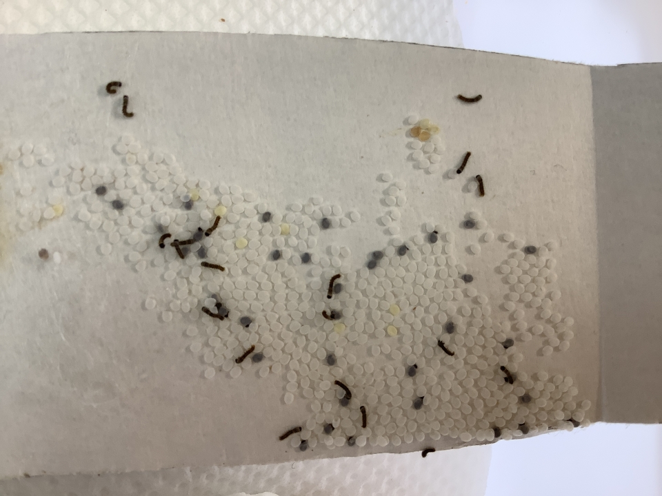
そして・・・7月7日 ふ化しましたよ!!


7月8日 餌をたくさん食べていますよ!!

成虫は餌・水をとらず、約1週間の寿命です・・・。

ホーム > 蚕の卵がまたふ化しましたよ!!
4月にふ化をした幼虫達が命を繋いでくれました!(5月のブログでお伝えした幼虫です)
6月10日ころ まゆになっています

6月24日ころ 成虫になりました

交尾をしています

6月29日 産卵しました!!

6月30日ころ 卵の色が変わってきましたよ

卵に黒い点々模様が見えます

そして・・・7月7日 ふ化しましたよ!!


7月8日 餌をたくさん食べていますよ!!

成虫は餌・水をとらず、約1週間の寿命です・・・。
